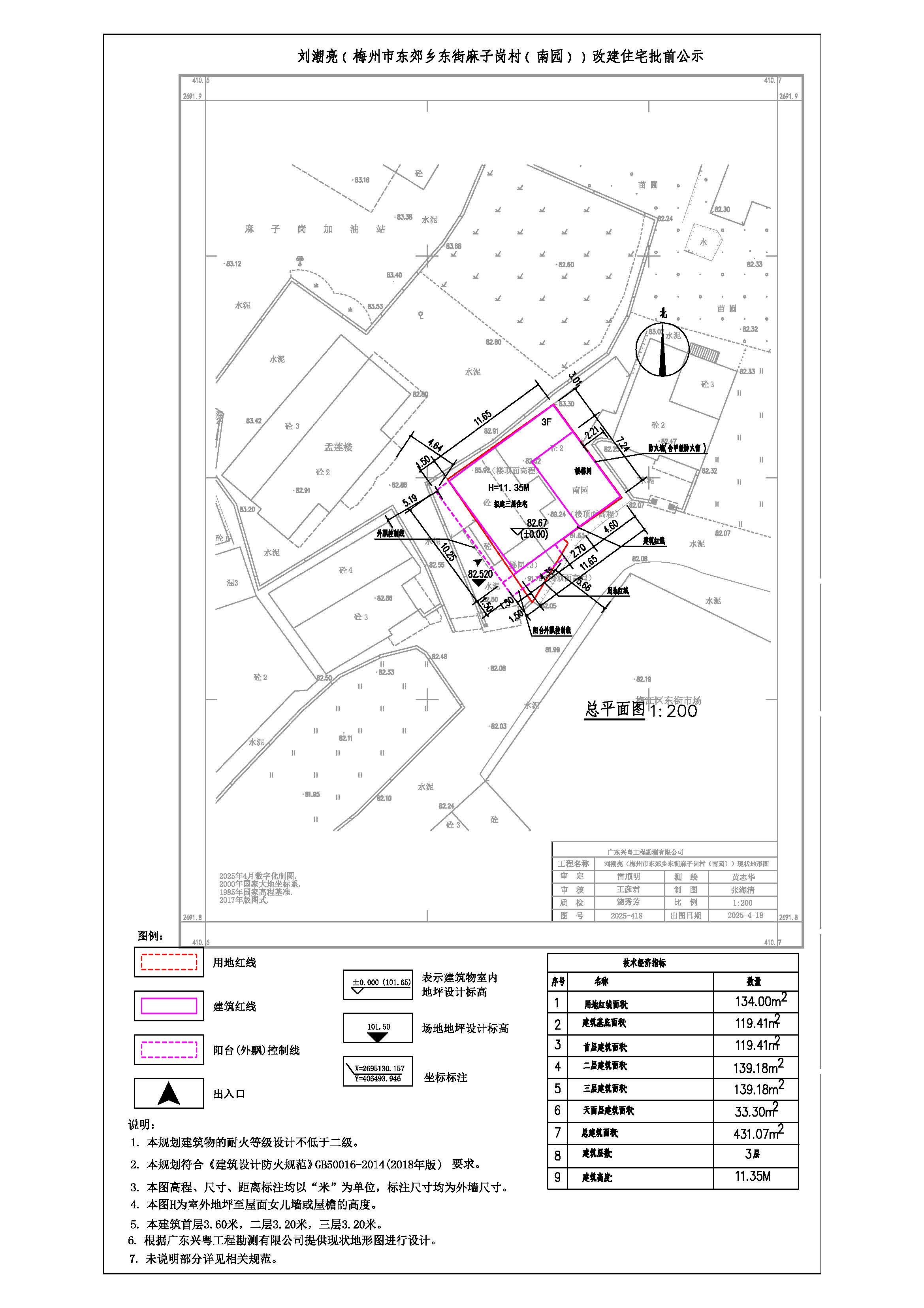
劉潮亮原房屋位於梅州市東郊鄉東街麻子崗村(南園),現劉潮亮業主擬對梅州市東郊鄉東街麻子崗村(南園)房屋進行改建。具體報建方案為:建築基底麵積:119.41平方米,層數:3層及天麵樓梯間,總建築麵積:431.07平方米。本圖僅為示意圖,準確數據以最後審批為準。
改建住宅方案正報我局審批,公示日期從2025年8月5日至2025年8月15日止。如對本規劃報建方案有異議,請在公示期內通過網上、信函或電話等方式反饋意見,有效的反饋意見必須包括反饋者的真實姓名、有效的聯係方式,並提供公示事項與其有利害關係的證明。逾期未提出異議,視作同意本方案。
公示地點:現場、網上
(網址://www.yyh998.com/zwgk/zfjg/szrzyj/)
經辦單位:梅州市自然資源局規劃建設科(華南大道29號)
谘詢電話:2191372
聯係人:張工
E-mail:mzghjsk@meizhou.gov.cn
梅州市自然資源局
2025年8月5日
